Следат драматични денови: „Бомбастичниот циклон“ се здружува со најмоќниот ураган на светот – каква ќе биде состојбата во Европа?

Точка

30/10/2025

21:32

1.760

Големина на фонт

а а а

Метеоролозите од сервисот „Severe Weather Europe“ предупредуваат на драматична и нестабилна временска ситуација која ќе го одбележи почетокот на ноември.

Според нивната најнова прогноза длабоките атлантски бранови, потпомогнати од рекордно топлите морски површини, ќе донесат дожд, ветрови и потопол воздух над западна и средна Европа.

Оваа „длабока есен“ може да донесе поплави и екстремни временски услови, особено во приморските подрачја.

Имено, според прогнозата направена врз основа на моменталните опсервации и модели, се истакнува типично есенско време над Северниот Атлантик – огромна количина влага и топлина на континентот.


„Ова ќе воспостави долг период на нестабилно време со дожд како што се приближува почетокот на ноември“, наведуваат експертите од „Severe Weather Europe“, нагласувајќи дека улогата на струењата од Атлантикот ќе донесе топол воздух ширум Европа.

Клучните елементи на оваа прогноза се морски површини кои се значајно потопли од просекот за средна есен – што е последица на топлото лето и глобалните климатски промени.

Температурата на морето околу Европа се движи од 22-23 степени Целзиусови во западна Европа, Северното и Балтичко море.

Овие аномалии особено се изразени во западно Средоземје и околу Скандинавија, ја зголемува влагата во воздухот.

Така арктичкиот воздух од Гренланд ќе се движи над Атлантикот, одржувајќи ја моќта на бранот и зголемувајќи ја млазната струја од 130 км/ч. на западот од Европа.

Тоа сепак ќе резултира со променливи временски услови – потоплите периоди ќе го прекинат бранот на ладен воздух, но општо гледано, ноември почнува со повисоки температури од просекот.

Топлото море ќе ги „нахрани“ фронталните системи дополнително со влага, ќе доведе до обилни дождови ширум Европа.

Од вечерва до следната седмица дождот којшто ќе се зголемува над планините се очекува во Ирска, Обединетото Кралство, Шкотска, западните делови на Пиринејскиот полуостров и југозападна Норвешка.

Екстремните ризици исто така нема да изостанат кои наведуваат дека ќе се формира „бомбастичен циклон“.

Тоа ќе предизвика јаки ветрови до 130 км/ч. над Атлантикот и Бискајскиот залив со опасни струи и високи бранови по должината на крајбрежјето на Франција, Ирска и Шкотска.


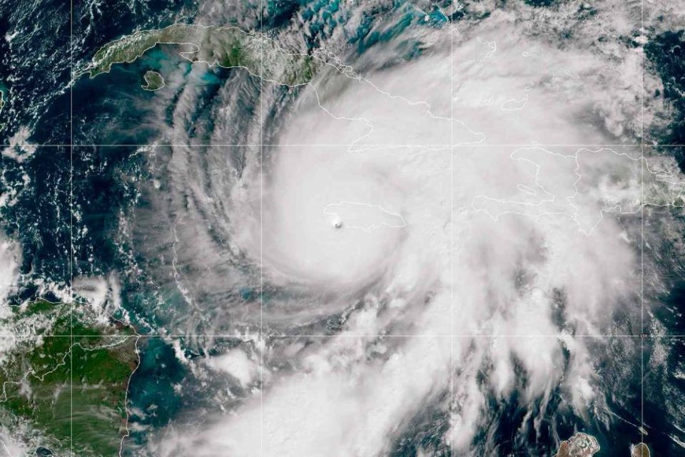
Дополнителен фактор е намалениот ураган Мелиса којшто веќе ја опустоши Јамајка, а сега придонесува и во пошироката динамика на Атлантикот.

Во балтичкото подрачје на топлите морски аномалии би можеле да поттикнат сериозно моќни дождови подоцна во текот на зимата.

Во Европа најмногу ќе бидат погодени Франција, Ирска и британските острови кои ќе се соочат со дожд, ветер и поплави, додека пак топлиот бран од Атлантикот ќе достигне до средна и источна Европа, а ќе донесе временски услови.

Средоземјето ќе има зголемени дождови поради топлото време на морето, а северна Европа вклучувајќи ја Скандинавија каде може да се очекува нестабилност со потенцијал со повеќе дождови.